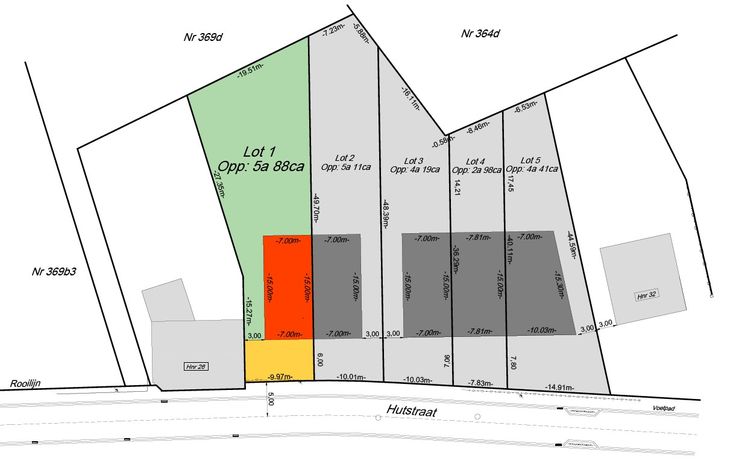
Prijs: 180.000 €
Type vastgoed: Grond

1 jaar, 7 maanden geleden



Prijs: 190.000 €
Type vastgoed: Grond

1 jaar, 7 maanden geleden



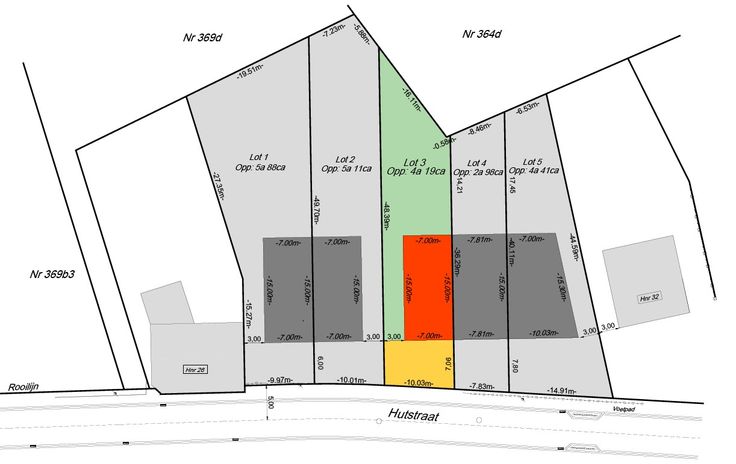
Prijs: 195.000 €
Type vastgoed: Grond

1 jaar, 7 maanden geleden