Te koop Bouwgrond voor halfopen bebouwing.

Beschrijving van   

Vergelijk realty's

Te koop Bouwgrond voor halfopen bebouwing.

Bouwgrond voor halfopen bebouwing. Bouwgrond voor halfopen bebouwing.
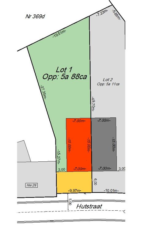
Aanbod van 5 bouwgronden, 4 voor HOB en 1 voor GB. Perceelsoppervlakte variërend tussen 588m² en 298m². Geen bouwverplichting. Rustige ligging in het dorp van Relst, op wandelafstand van scholen, winkels, openbaar vervoer. Goede verbinding naar Mechelen-Leuven. Bouwvoorschriften Maximale bouwdiepte bedraagt 15m op het gelijkvloers + 12 op de verdieping, ofwel 13,5m op het gelijkvloers en verdiep. Bouwbreedte afhankelijk van lot; variërend tussen 7m en 10m. Zowel hellende als platte daken zijn toegelaten, de nok van de woning mag max. 12m hoog zijn. De totale oppervlakte van de verhardingen in de achtertuin bedraagt 80m². Bijgebouw toegelaten tot max. 40m². Twee parkingplaatsen te voorzien op eigen perceel Complementaire bedrijvigheid toegestaan onder voorwaarden. De volledige voorschriften kunnen opgevraagd worden via mail info@schoukens.be. Metingskosten ten laste van de koper: 850 Euro incl btw. Aandeel in de verkavelingsakte ten laste van de koper.
Type vastgoed Grond
Prijs 195.000