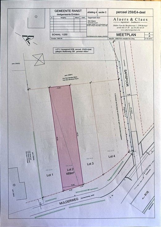
Breedte perceel: 10m Diepte perceel: 49 m Bouwdiepte HOB: 17m Bouwbreedte HOB: 7m Kroonlijsthoogte: 6m Nokhoogte: 10.5m Minimale hellingsgraad dak: 45° Zijdelingse perceelsgrens: 3m Voorste perceelsgrens: 12m Bijgebouwen minimum 10m achter achtergevel, max 10% of 48.9m² Hebt u graag meer info over een mogelijk ruwbouwwinddichte woning of sleutel op de deur, dan kunnen wij u hier ook zeker meer info over geven, zodat uw droomwoning kan gerealiseerd worden. Wenst u liever zelf uw eigen woning te realiseren dan is dit uiteraard ook mogelijk. U beslist met wie en vanaf wanneer u samenwerkt. Aarzel niet om ons te contacteren: Nicki, 0496 02 35 68, nf@janssenenjanssen.be