Te koop Perceel bouwgrond voor halfopen bebouwing ...

Beschrijving van   

Vergelijk realty's

Te koop Perceel bouwgrond voor halfopen bebouwing te Brecht

Perceel bouwgrond voor halfopen bebouwing te Brecht
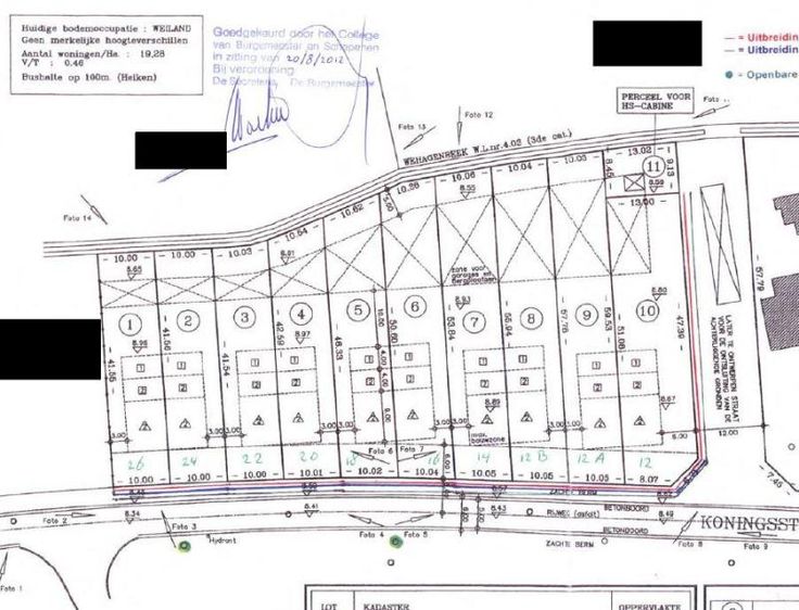
Dit mooi perceel brouwgrond is gelegen te Sint-Lenaarts (Brecht), Koningsstoel en heeft een oppervlakte van 549m², zijnde LOT 7 van de verkaveling. Gelegen in goedgekeurde verkaveling de dato 20 augustus 2012. Geschikt voor het bouwen van een half open bebouwing met een straatbreedte van maximum 7m (3 m van de perceelsgrens) en 17 diep. Kroonlijsthoogte 6m, nokhoogte maximaal 11,5m. Bijgebouwen, garages en bergingen toegestaan in de daarvoor voorziene zone. Verdere bouwvoorschriften op eenvoudig verzoek verkrijgbaar via het notariskantoor. Vraagprijs: €198.750 P score: D
Type vastgoed Grond
Prijs 198.750