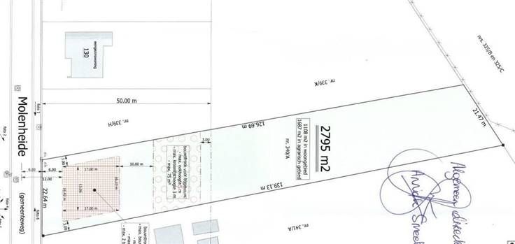
Ontdek deze ruime bouwgrond in het charmante Pulderbos, ideaal gelegen voor wie op zoek is naar rust en ruimte. Met een indrukwekkende oppervlakte van 2990 m² biedt dit perceel eindeloos veel mogelijkheden om uw droomhuis te realiseren. Gelegen in een groene en rustige omgeving, omgeven door natuur, biedt deze grond een perfecte combinatie van landelijke sereniteit en gemakkelijke toegang tot lokale voorzieningen. De grond is deels gelegen in woongebied met landelijk karakter en deels gelegen in agrarisch gebied verder zijn er geen bouwverplichtingen en heeft dit perceel een Oosten tuin. Grijp de kans om te investeren in een stuk eigendom dat zowel qua ligging als potentieel zijn weerga niet kent. Voor meer informatie of een bezichtiging, neem vandaag nog contact met ons op! Bouwvoorschriften zijn te bekomen op verzoek.