Te koop Bouwgrond van 2.328 m² voor open bebouwing

Beschrijving van   

Vergelijk realty's

Te koop Bouwgrond van 2.328 m² voor open bebouwing

Bouwgrond van 2.328 m² voor open bebouwing Bouwgrond van 2.328 m² voor open bebouwing Bouwgrond van 2.328 m² voor open bebouwing Bouwgrond van 2.328 m² voor open bebouwing
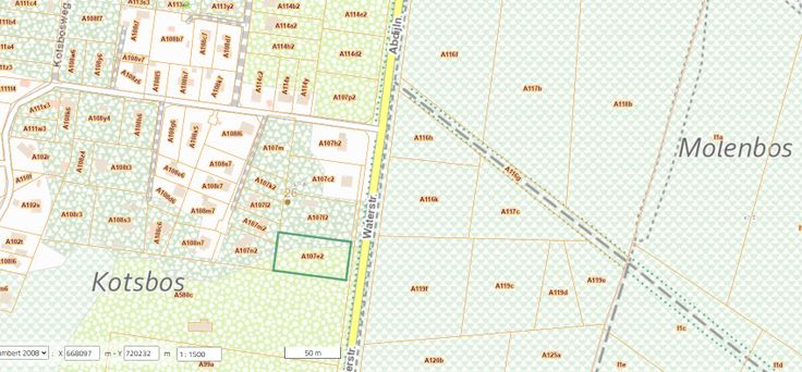
Bouwgrond in bosrijke omgeving in Schilde, 2.328 m², 34 m breed, 68 m diep, met stedenbouwkundig attest voor bouwen van een woning. Tuin op het westen. Het perceel is gelegen in BPA Kotsbos (domicilie mogelijk) met vlotte ontsluiting richting Sint-Antonius, Brecht en Schilde. De bouwvoorschriften zijn op aanvraag te verkrijgen.
Type vastgoed Grond
Prijs 235.000