Te koop Ruime bouwgrond voor open bebouwing in Balen.

Beschrijving van   

Vergelijk realty's

Te koop Ruime bouwgrond voor open bebouwing in Balen.

Ruime bouwgrond voor open bebouwing in Balen. Ruime bouwgrond voor open bebouwing in Balen. Ruime bouwgrond voor open bebouwing in Balen. Ruime bouwgrond voor open bebouwing in Balen. Ruime bouwgrond voor open bebouwing in Balen. Ruime bouwgrond voor open bebouwing in Balen. Ruime bouwgrond voor open bebouwing in Balen.
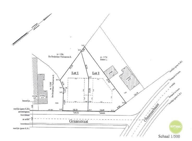
Ruime bouwgrond voor open bebouwing in Balen. In een rustige en groene straat te Balen-Hulsen vinden we deze 2 ruime bouwgronden voor open bebouwing.  Lot 1: Totale oppervlakte: 6a05ca Perceelbreedte: 18,1 meter Perceeldiepte: 42,7 meter Beide percelen bieden een uitstekende gelegenheid om uw droomwoning te bouwen in een groene omgeving. De ruime tuinoriëntatie naar het noordwesten zorgt ervoor dat u kunt genieten van de avondzon in uw toekomstige tuin. Gelegen in een kindvriendelijke buurt met alle nodige voorzieningen in de nabijheid, iIdeaal voor gezinnen die op zoek zijn naar rust en natuur, zonder in te boeten aan bereikbaarheid en faciliteiten. Mis deze unieke kans niet om te bouwen op een toplocatie in Balen-Hulsen! Wenst u ook uw eigendom te verkopen? Contacteer ons vrijblijvend voor een GRATIS schatting op 0498/44.59.21
Type vastgoed Grond
Prijs 154.000