Te koop Bouwgrond van 720 m² voor open bebouwing, centraal gelegen
Deze ruime bouwgrond van 720 m² is ideaal gelegen in Wezel, met een vlotte verbinding naar omliggende gemeenten. De locatie combineert rust met bereikbaarheid, perfect voor wie op zoek is naar een aangename woonomgeving.
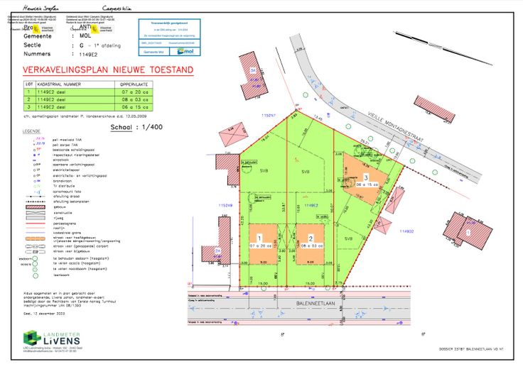
Het perceel beschikt over een straatbreedte van 15 meter en een diepte van 53,87 meter, en is bestemd voor open bebouwing. De toekomstige woning mag een maximale gevelbreedte van 9 meter hebben en een bouwdiepte van maximaal 12 meter.
Bouwvoorschriften:
- Gelijkvloers: maximaal 9 m breed en 12 m diep
- Vrije keuze van dakvorm
- Mogelijkheid tot het plaatsen van een tuinhuis van 12 m²
* De render is visueel om een idee te geven voor een potentiële koper.