Te koop Bouwgrond voor halfopen bebouwing in rusti...

Beschrijving van   

Vergelijk realty's

Te koop Bouwgrond voor halfopen bebouwing in rustige woonwijk

Bouwgrond voor halfopen bebouwing in rustige woonwijk Bouwgrond voor halfopen bebouwing in rustige woonwijk Bouwgrond voor halfopen bebouwing in rustige woonwijk Bouwgrond voor halfopen bebouwing in rustige woonwijk Bouwgrond voor halfopen bebouwing in rustige woonwijk Bouwgrond voor halfopen bebouwing in rustige woonwijk Bouwgrond voor halfopen bebouwing in rustige woonwijk
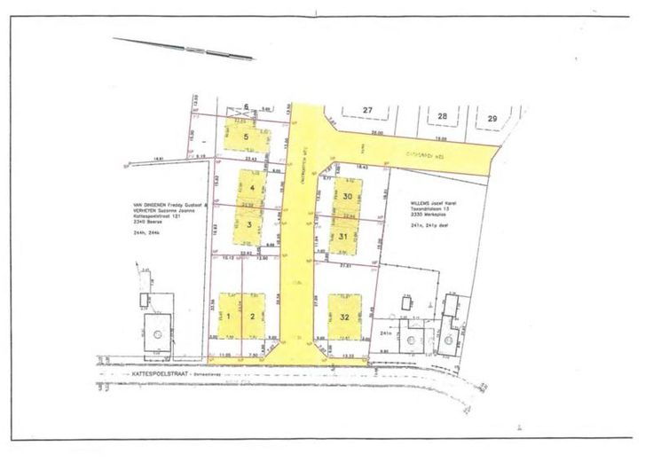
Deze bouwgrond voor halfopen bebouwing is gelegen in de verkaveling aan de Jan Vaertenstraat te Beerse, in een rustige woonomgeving met een oppervlakte van 336 m². - Lot 31 van het opmetingsplan - Tuin gericht op het zuiden - Woongebied - Verkavelingsvergunning aanwezig - P-score: A Neem contact met het notariskantoor op voor de verkavelingsvoorschriften. P score: A
Type vastgoed Grond
Prijs 158.000