Te koop Mooi perceel bouwgrond voor open bebouwing

Beschrijving van   

Vergelijk realty's

Te koop Mooi perceel bouwgrond voor open bebouwing

Mooi perceel bouwgrond voor open bebouwing Mooi perceel bouwgrond voor open bebouwing
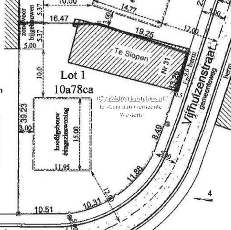
Mooi en goed gelegen perceel bouwgrond voor open bebouwing te Zoerle-Parwijs, aan de Vijfhuizenstraat. Gekadastreerd sectie A, nrs 47CP0000 en 47EP0000 met een totale oppervlakte van 10a 80ca. Vergunning gereikt: 2014: verkavelen in 2 kavels voor open bebouwing & 2020: bouwen woning - Gelegen in woonuitbreidingsgebieden - Geen voorkooprecht - Geen erfgoed - watertoets: P-Score: C en G-Score: onb (geen risicozone) - geen watergevoelig openruimtegebied - buurtweg: chemin n°8 P score: C
Type vastgoed Grond
Prijs 205.000