Te koop Bouwgrond van 10 are op toplocatie

Beschrijving van   

Vergelijk realty's

Te koop Bouwgrond van 10 are op toplocatie

Bouwgrond van 10 are op toplocatie Bouwgrond van 10 are op toplocatie Bouwgrond van 10 are op toplocatie Bouwgrond van 10 are op toplocatie Bouwgrond van 10 are op toplocatie Bouwgrond van 10 are op toplocatie Bouwgrond van 10 are op toplocatie
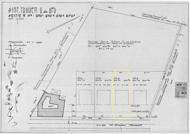
Deze uitzonderlijke bouwgrond van 10 are, centraal gelegen aan de Hasseltsesteenweg ter hoogte van huisnummer 516 in Sint-Truiden, biedt een unieke kans om uw droomwoning te realiseren. Dit perceel combineert de charme van Haspengouw, met een uitstekende ligging nabij centrum Sint-Truiden (<10km) en Hasselt (<15km). Met een perceelscore van A, is dit terrein niet overstromingsgevoelig, wat extra zekerheid biedt voor een duurzame investering. Het perceel heeft een totale oppervlakte van 1.000 m² en biedt met zijn breedte (20m) en diepte (50m) veel mogelijkheden voor een open bebouwing met tuin. Interesse? Voor de bouwvoorschriften en verdere details kan u ons contacteren per email: solange.nicolai@gmail.com. Wij nemen zo spoedig mogelijk contact met u op.
Type vastgoed Grond
Prijs 169.000