Te koop Uniek perceel bouwgrond voor villabouw met...

Beschrijving van   

Vergelijk realty's

Te koop Uniek perceel bouwgrond voor villabouw met landelijk uitzic

Uniek perceel bouwgrond voor villabouw met landelijk uitzic Uniek perceel bouwgrond voor villabouw met landelijk uitzic Uniek perceel bouwgrond voor villabouw met landelijk uitzic Uniek perceel bouwgrond voor villabouw met landelijk uitzic
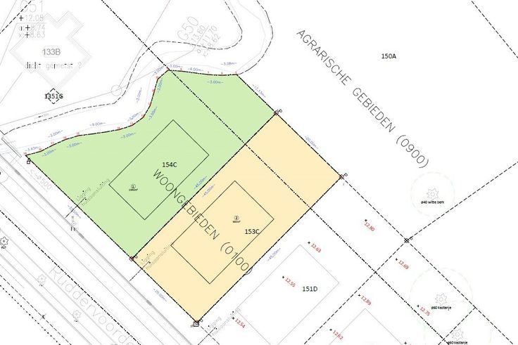
Met zicht op het prachtig natuurgebied rond het kasteel Baesveld betreft dit een zeer goed gelegen perceel bouwgrond, voor open bebouwing. De straatbreedte bedraagt maar liefst 32,5 meter en de diepte bedraagt 45 meter. Gelegen tussen enerzijds het Station Zedelgem en de E403. Op wandelafstand ligt Merkenveld, Baesveld en Doeveren. Brugge is bereikbaar via een aangename fietsroute. Er is geen bouwverplichting ! Bouw mogelijk van 2 bouwlagen en dak. Zeer breed perceel ! Perceel ernaast is verkocht.
Type vastgoed Grond
Prijs 369.000