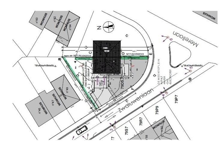
Met zijn ideale oriëntatie en rustige ligging is dit bouwperceel van 3A 65 ca (365m²) perfect voor de bouw van een ruime, lichte villa.
Er is een bouwvergunning afgegeven voor de bouw van een villa van 2 verdiepingen en 3 voorgevels met een vloeroppervlak van 220m². Architectenplannen beschikbaar.
Tussen Sint-Genesius-Rode en Waterloo, in de mooie wijk De Hoek/ Grande Espinette.
Het perceel ligt in een mooie beboste straat en biedt een rustige omgeving, dicht bij de velden.
Het perceel heeft een uitstekende ligging. Dicht bij de Hoekse school en winkels, op korte loopafstand van het Zoniënwoud, het treinstation en op 15 minuten rijden van Brussel.
Gunstige ligging, met gemakkelijke toegang tot openbaar vervoer en belangrijke verbindingswegen naar Brussel en Waals-Brabant.
Stedenbouwkundige informatie in orde. Niet contractuele informatie. De verkoper behoudt zich het recht voor om een bod vrij en onafhankelijk te weigeren of te aanvaarden, op basis van verschillende criteria zoals het bedrag van het bod, opschortende voorwaarden, enz...
MEER INFO : 0471.722.144 - DELPHINE DEMOULIN