Te koop Bouwgrond te koop in Oostende!

Beschrijving van   

Vergelijk realty's

Te koop Bouwgrond te koop in Oostende!

Bouwgrond te koop in Oostende! Bouwgrond te koop in Oostende! Bouwgrond te koop in Oostende! Bouwgrond te koop in Oostende! Bouwgrond te koop in Oostende! Bouwgrond te koop in Oostende! Bouwgrond te koop in Oostende! Bouwgrond te koop in Oostende! Bouwgrond te koop in Oostende! Bouwgrond te koop in Oostende!
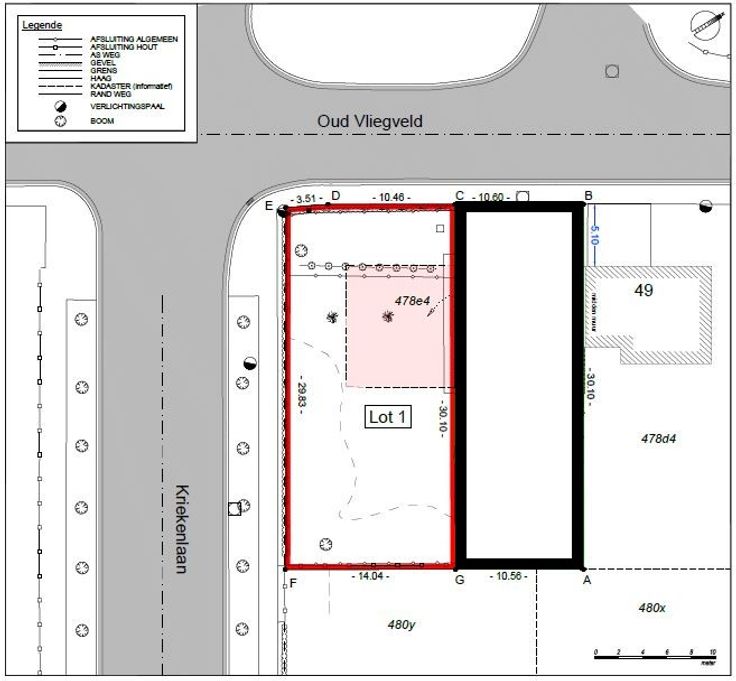
Bent u op zoek naar een rustig gelegen bouwgrond voor een halfopen bebouwing in Oostende? Dan is dit perceel van 421 m² in de charmante woonwijk van Stene ideaal voor u!   Kenmerken: Totale oppervlakte: 421 m² Bestemd voor halfopen bebouwing Rustige en aangename woonwijk in Stene Op slechts enkele minuten van het centrum van Oostende Dichtbij de Zeedijk, ideaal voor wie houdt van een strandwandeling Nabij handelzaken, winkels en openbaar vervoer Deze bouwgrond biedt de perfecte combinatie van rust en nabijheid tot het bruisende stadsleven en de kust. Interesse? Contacteer Sean op 050 42 42 24.
Type vastgoed Grond
Prijs 185.000