Te koop Handelsgelijkvloers

Beschrijving van   

Vergelijk realty's

Te koop Handelsgelijkvloers

Handelsgelijkvloers Handelsgelijkvloers Handelsgelijkvloers
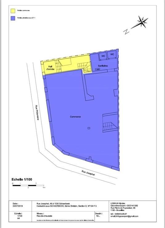
Sorry er is geen nederlandse vertaling beschikbaar. Situé entre la Chaussée de Haecht et la rue des Coteaux, à 5min de distance des métros Madou et Botanique. Magnifique rez-de-chaussée commercial de 115 m² comprenant un spacieux espace commercial et des sanitaires. Accès de l'intérieur dans les caves privatives de 45 m² du commerce dont l'une des pièces a été aménagée en cuisine. Idéal pour un bureau, profession libérale, ... Toutes les activités sont possibles. Volets électriques. Nouvelle chaudière individuelle au gaz Vaillant (2025). Tous les compteurs sont séparés. Précompte immobilier de +/- 1250€. Loué à 1.200€/mois. Plus d'infos ? Appelez-nous au 0487/569.569 ou visitez notre site www.centralimmo.be
Type vastgoed Commercieel
Prijs 245.000
Bewoonbare opp. 160