Te koop Bouwgrond met een adembenemend uitzicht! L...

Beschrijving van   

Vergelijk realty's

Te koop Bouwgrond met een adembenemend uitzicht! Lot 2A

Bouwgrond met een adembenemend uitzicht! Lot 2A Bouwgrond met een adembenemend uitzicht! Lot 2A Bouwgrond met een adembenemend uitzicht! Lot 2A Bouwgrond met een adembenemend uitzicht! Lot 2A Bouwgrond met een adembenemend uitzicht! Lot 2A
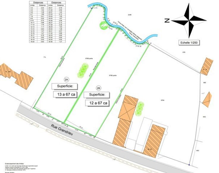
Laat u verleiden door dit schitterende bouwperceel van 1367m², een absolute favoriet gelegen buiten een verkaveling. Stel u uw toekomstige woning voor met een adembenemend uitzicht over de glooiende landschappen van onze prachtige Heuvellandregio. De zuidoostelijke oriëntatie baadt het terrein de hele dag in een ideale lichtinval. Met zijn 20 meter straatbreedte biedt het mooie perspectieven voor uw project. De rustige en groene omgeving zal u vanaf het eerste bezoek charmeren. Ons team staat volledig tot uw beschikking om u te begeleiden en al uw vragen te beantwoorden
Type vastgoed Grond
Prijs 139.000