Te koop Huis

Beschrijving van   

Vergelijk realty's

Te koop Huis

Huis Huis Huis
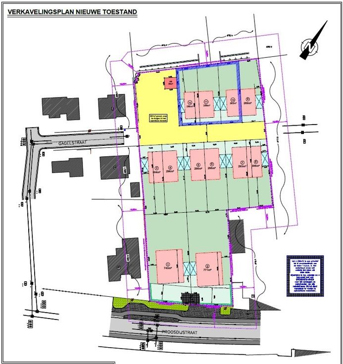
INDELING VAN DE WONING Op moment van het publiceren van dit lot is nog geen woningtype of plan voorhanden. De vermelde prijs is een richtprijs voor een tweetal woningen, waarvan je een voorbeeldplan kunt raadplegen. Contacteer ons gerust om de mogelijkheden te bespreken.
Type vastgoed Huis
Prijs 502.000
Aantal slaapkamers 3