Te koop Nieuwbouwwoning te Merchtem

Beschrijving van   

Vergelijk realty's

Te koop Nieuwbouwwoning te Merchtem

Nieuwbouwwoning te Merchtem Nieuwbouwwoning te Merchtem Nieuwbouwwoning te Merchtem Nieuwbouwwoning te Merchtem Nieuwbouwwoning te Merchtem
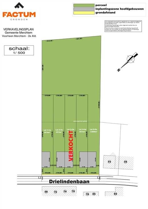
In de Drielindenbaan in Merchtem, links naast huisnummer 53, bieden we verschillende bouwgronden aan voor halfopen bebouwingen. Deze nieuwbouwwoningen bevinden zich in een rustige, groene omgeving met vlotte verbindingen naar de omliggende regio. Op wandelafstand ligt het station van Merchtem. Het centrum van Merchtem met winkels en horecazaken ligt op slechts 1 km. In de buurt zijn diverse supermarkten, scholen, kinderopvang en sportfaciliteiten vlot bereikbaar. Dankzij de nabijheid van de A12 en de Brusselse Ring is de locatie ook ideaal voor pendelaars. Met de bouwverplichting wordt de volledige bouw en opvolging voor jou geregeld. Je kiest zelf de stijl, indeling en materialen, en geniet van een duurzame, energiezuinige woning opmaat. Voor meer informatie, contacteer info@factumvastgoed.be
Type vastgoed Huis
Prijs 508.600
Aantal slaapkamers 3