Te koop Grond

Beschrijving van   

Vergelijk realty's

Te koop Grond

Grond Grond Grond Grond
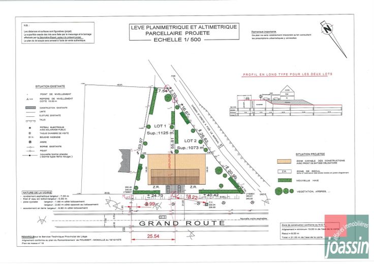
Belle parcelle à bâtir de 1.073m², située à Oreye, dans un lotissement de 2 lots, proche de toutes facilités et d'axes autoroutiers. Celle-ci a une façade à rue de ±40,42m et une profondeur de ±55,81m, avec une orientation sud à l’arrière. Idéale pour la construction d’une maison 3 façades. Libre de constructeur, avec la possibilité d’un projet via la société Joassin Construction. Plans et prescriptions disponibles sur demande ou sur www.joassinimmo.be Plus d'informations: 019/33.93.93 – immobilier@joassinimmo.be.
Type vastgoed Grond
Prijs 90.000