Te huur Nieuwbouw KMO unit te Wijnegem

Beschrijving van   

Vergelijk realty's

Te huur Nieuwbouw KMO unit te Wijnegem

Nieuwbouw KMO unit te Wijnegem Nieuwbouw KMO unit te Wijnegem Nieuwbouw KMO unit te Wijnegem Nieuwbouw KMO unit te Wijnegem Nieuwbouw KMO unit te Wijnegem Nieuwbouw KMO unit te Wijnegem
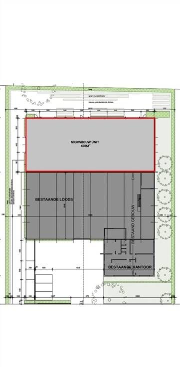
Bent u op zoek naar de perfecte locatie voor uw onderneming? Deze nieuwbouw KMO unit (2024) biedt maar liefst ca. 608m² aan veelzijdige bedrijfsruimte, gelegen in het industrieterrein Den Hoek, vlak om de hoek van het Wijnegem Shopping Center. Profiteer van een strategische ligging met uitstekende bereikbaarheid via verschillende grote verkeersassen in alle richtingen. Het goed geïsoleerde magazijn is te bereiken met een brede toegang (6m) via de zijkant van een bestaand bedrijfsperceel. Het heeft een vrij zicht en een eigen ruime parkeergelegenheid. Grote vrachtwagens kunnen er gemakkelijk laden en lossen. Het bedrijfsterrein is groen omkaderd. Een pand met veel mogelijkheden !
Type vastgoed Commercieel
Prijs 4.053
Bewoonbare opp. 608