Te koop 982 m² Bouwgrond – Rustige Woonwijk, Zuidg...

Beschrijving van   

Vergelijk realty's

Te koop 982 m² Bouwgrond – Rustige Woonwijk, Zuidgericht

982 m² Bouwgrond – Rustige Woonwijk, Zuidgericht 982 m² Bouwgrond – Rustige Woonwijk, Zuidgericht 982 m² Bouwgrond – Rustige Woonwijk, Zuidgericht
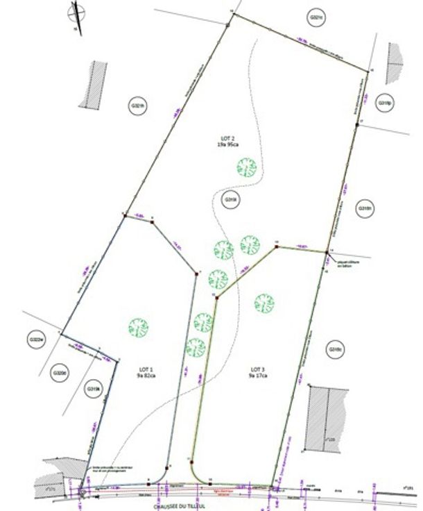
ImmoDussart stelt u met plezier dit prachtige perceel van 982 m² voor, gelegen in een gegeerde woonwijk, met een ideale zuidelijke oriëntatie (toegang via de noordkant). Het perceel is bestemd voor het bouwen van een eengezinswoning. Dankzij de ligging geniet u van veel natuurlijk licht en rust, in een groene en aangename omgeving zonder geluidsoverlast. De grond is volledig aangesloten: water, elektriciteit, gas en riolering zijn reeds aanwezig. Gelegen buiten een overstromingsgevoelig gebied, is dit perceel klaar voor uw woonproject. In de onmiddellijke omgeving: Scholen: Collège de Basse-Wavre & École de l’Orangeraie Openbaar vervoer: Station en bushaltes snel bereikbaar Sport & ontspanning: Sportcentrum van Waver op wandelafstand Winkels: Supermarkten en handelszaken (Chée de Louvain & centrum van Waver) Natuur: Wandelroutes, bossen en landerijen rond de Ferme de l’Hosté Voor meer info, neem contact op met een van onze medewerkers: Dhr. Didrik Lagasse (IPI: 517 948) via +32 470 24 42 44 Dhr. Sébastien Horvath (IPI: 512.061) via +32 477 78 70 47 Of via e-mail: wavre@immodussart.be
Type vastgoed Grond
Prijs 285.000