Te koop Groot perceel 1995 m² – Zonnig en rustig g...

Beschrijving van   

Vergelijk realty's

Te koop Groot perceel 1995 m² – Zonnig en rustig gelegen

Groot perceel 1995 m² – Zonnig en rustig gelegen Groot perceel 1995 m² – Zonnig en rustig gelegen Groot perceel 1995 m² – Zonnig en rustig gelegen
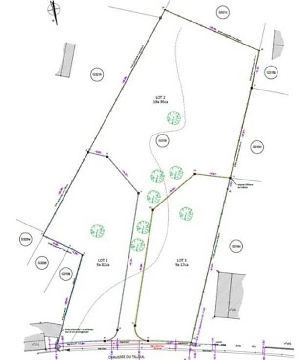
ImmoDussart stelt u graag dit ruime perceel van 1995 m² voor, gelegen in een rustige woonwijk. Dankzij de zuidelijke oriëntatie is het perfect geschikt voor de bouw van een lichte en comfortabele eengezinswoning. De grond ligt buiten overstromingsgevoelige zones en is volledig voorzien van nutsvoorzieningen: toegangswegen, water, elektriciteit, gas en riolering zijn aanwezig. Troeven van de ligging: Scholen in de buurt: Collège de Basse-Wavre, École de l’Orangeraie Openbaar vervoer: Bushaltes en treinstation vlot bereikbaar Vrije tijd & sport: Snelle toegang tot het sportcentrum van Waver Winkels: Dicht bij supermarkten en handelszaken Natuur: Op wandelafstand van bossen en landbouwzones De geotechnische studie, doorlaatbaarheidstest en afpaling zijn reeds uitgevoerd en ten laste van de verkoper. Voor meer informatie kunt u contact opnemen met een van onze medewerkers: Dhr. Didrik Lagasse (IPI: 517 948) via +32 470 24 42 44 Dhr. Sébastien Horvath (IPI: 512.061) via +32 477 78 70 47 Of per e-mail: wavre@immodussart.be
Type vastgoed Grond
Prijs 360.000