Te koop Nieuw te bouwen woning te koop in Putte!

Beschrijving van   

Vergelijk realty's

Te koop Nieuw te bouwen woning te koop in Putte!

Nieuw te bouwen woning te koop in Putte! Nieuw te bouwen woning te koop in Putte! Nieuw te bouwen woning te koop in Putte! Nieuw te bouwen woning te koop in Putte!
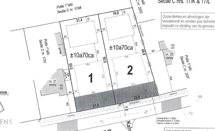
Nieuw te bouwen woning voor open bebouwing gelegen in Putte! De bouwgrond (lot 1) is 10 are 72 ca groot en heeft een bouwbreedte van 15,4 m en een maximum diepte van 17 m en de verdieping maximum 13 m. De projectvoorstelling heeft hier een bouwbreedte van 10 m en een diepte van 9 m met een kroonlijst van 3,5 m. Er zijn 2 manieren van afwerking van de woning mogelijk: CASCO totaalprijs € 414.215 €169.215 + €245.000 excl. BTW & registratierechten Sleutel op de deur totaalprijs €520.715 €275.715 + €245.000 excl. BTW & registratierechten Het voorbeeldplan is informatief en wijzigbaar , de mogelijkheid bestaat voor een carport naast de woning binnen de bouwzone of om breder te bouwen. Dieper is ook nog mogelijk. Bij sleutel/deur heeft u tevens een ruime keuze uit een reeks van kwaliteitsvolle materialen zoals een 25tal gevelstenen en vloeren, ,driedubbelglas met 20 kleuren standaard voor de buitenzijde van de raamprofielen, 10 zonnepanelen , warmtepomp met vloerverwarming , badkamer met bad en (inloop)douche , dubbele lavabo met kolomkast en spiegel en 2 hangtoiletten waarvan 1 met een handwasser, trap in beuk of rubberwood, keuken met toestellen van Whirlpool of Siemens ter waarde van 12.000 €........... dit alles in combinatie met een sterke isolatie (12cm pur in de muren, 12 cm vloerisolatie en 22cm dakisolatie). Op de berekening treft u de prijsraming instapklaar afgewerkt ( SLEUTEL/DEUR) en RWWD(= ruwbouwwinddicht : ruwbouw+dakwerken+buitenschrijnwerkerij) , alsook
Type vastgoed Huis
Prijs 414.215
Bewoonbare opp. 180
Aantal slaapkamers 3
Aantal badkamers 1