Te koop Huis

Beschrijving van   

Vergelijk realty's

Te koop Huis

Huis
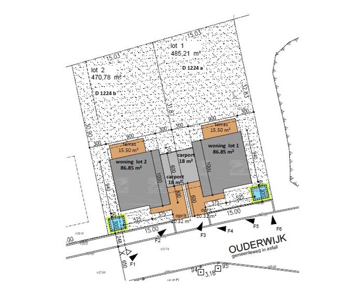
INDELING VAN DE WONING GELIJKVLOERS* Inkomhal* Berging* Gastentoilet* Extra ruimte (fietstalling)* Leefruimte met open keuken VERDIEP 1* 4 slaapkamers* Badkamer* Apart toilet OVERIG* Carport
Type vastgoed Huis
Prijs Op aanvraag
Aantal slaapkamers 4