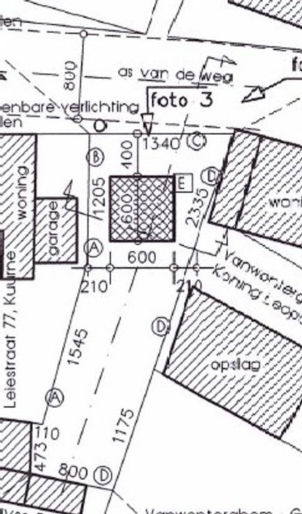
Te koop Bouwgrond op 323 m² met zuid gerichte tuin...

Beschrijving van   

Vergelijk realty's

Te koop Bouwgrond op 323 m² met zuid gerichte tuin in de Leiestraat

Bouwgrond op 323 m² met zuid gerichte tuin in de Leiestraat Bouwgrond op 323 m² met zuid gerichte tuin in de Leiestraat Bouwgrond op 323 m² met zuid gerichte tuin in de Leiestraat Bouwgrond op 323 m² met zuid gerichte tuin in de Leiestraat Bouwgrond op 323 m² met zuid gerichte tuin in de Leiestraat Bouwgrond op 323 m² met zuid gerichte tuin in de Leiestraat Bouwgrond op 323 m² met zuid gerichte tuin in de Leiestraat Bouwgrond op 323 m² met zuid gerichte tuin in de Leiestraat Bouwgrond op 323 m² met zuid gerichte tuin in de Leiestraat
Bouwgrond op 323 m² met zuid gerichte tuin in de Leiestraat. Deze eigendom doet momenteel dienst als atelier/garage. Hierdoor staat er momenteel een dubbele garage met bijhorende carport. Deze garage heeft een elektrische installatie die blanco gekeurd is (3x 230V). + Centrumligging!
Type vastgoed Grond
Prijs 96.900