Te huur Te huur showroom met magazijn op zicht loc...

Beschrijving van   

Vergelijk realty's

Te huur Te huur showroom met magazijn op zicht locatie

Te huur showroom met magazijn op zicht locatie Te huur showroom met magazijn op zicht locatie Te huur showroom met magazijn op zicht locatie Te huur showroom met magazijn op zicht locatie Te huur showroom met magazijn op zicht locatie Te huur showroom met magazijn op zicht locatie Te huur showroom met magazijn op zicht locatie Te huur showroom met magazijn op zicht locatie Te huur showroom met magazijn op zicht locatie Te huur showroom met magazijn op zicht locatie Te huur showroom met magazijn op zicht locatie Te huur showroom met magazijn op zicht locatie Te huur showroom met magazijn op zicht locatie Te huur showroom met magazijn op zicht locatie Te huur showroom met magazijn op zicht locatie Te huur showroom met magazijn op zicht locatie Te huur showroom met magazijn op zicht locatie
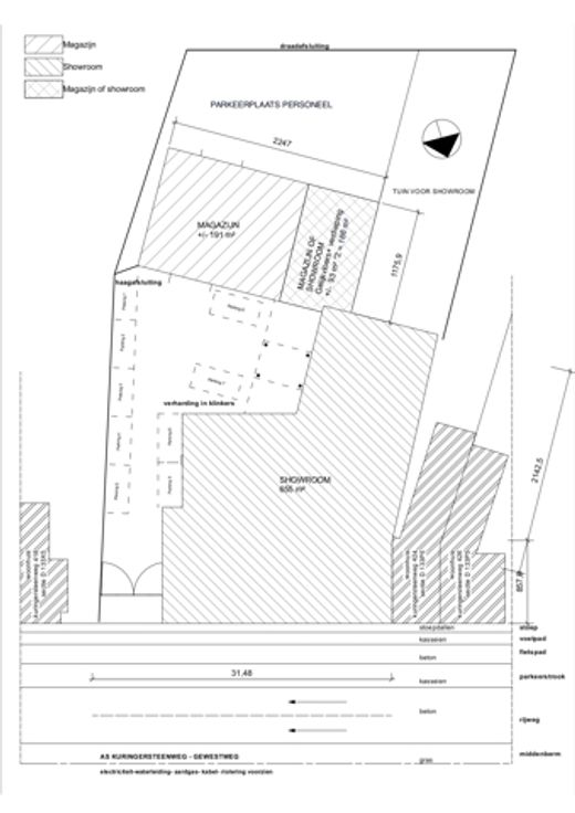
Te huur showroom met magazijn Gelegen op de perfecte zicht locatie te Hasselt aan de E313. Deze ruime winkel met showroom en magazijn staat te huur op een strategische locatie aan de Kuringersteenweg 420. Indeling: winkelruimte/showroom van 655m² voorzien van grote ramen voor maximale zichtbaarheid en natuurlijk licht. De showroom is stijlvol ingericht. Achterliggend bevindt zich een magazijn van 191m² voorzien van poort. Tegen dit magazijn en grenzend aan de winkel/showroom ligt nog een ruimte van 180m² verdeelt over een gelijkvloers en een verdieping, die op heden wordt gebruikt als opslagplaats, maar perfect kan omgevormd worden tot deel van de winkel/showroom. Parkeergelegenheid voor klanten en personeel. Gelegen in een drukke commerciële zone met veel passanten en potentieel voor groei. Uitstekende locatie voor diverse soorten bedrijven, zoals detailhandel, showrooms, groothandel, en meer! Beschikbaar in overleg met eigenaar. Voor meer info en/of bezichtiging 011/39 90 50 - info@jansenrealestate.be
Type vastgoed Commercieel
Prijs 7.500
Bewoonbare opp. 1032