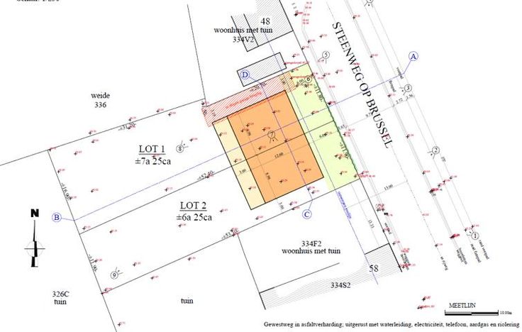
Te koop Mooie bouwgrond voor halfopen bebouwing te Opwijk!
Dit perceel heeft een totale oppervlakte van zo'n 625 m² en is geschikt voor het creëren van een halfopen bebouwing (zie plan lot 2). De straatbreedte bedraagt ongeveer 11,9 meter. De bouwdiepte bedraagt 15 meter op het gelijkvloers en 12 meter op de verdieping, ideaal voor het creëren van een ruime ééngezinswoning. Ideale zuidwest oriëntatie!
Kroonlijsthoogte bedraagt max. 6,5 meter boven de vloerplas en zowel hellend als plat dak is toegestaan. De woningen dienen hetzelfde profiel te volgen. Vrije beroepen zijn toegestaan.
Indien een garage/carport gewenst is, kan deze opgericht worden binnen de zone van het hoofdgebouw of als afzonderlijk gebouw.
Dit perceel is centraal gelegen te Opwijk met een goede verbinding richting Asse/Brussel en Dendermonde. Tevens op korte afstand van winkels, scholen en openbaar vervoer. Voor meer info contacteer ons via tijl@immotijl.be of 0477 44 86 11.
*Ter info: u kan de dossierdocumenten raadplegen via onze website.