Te koop Bouwgrond

Beschrijving van   

Vergelijk realty's

Te koop Bouwgrond

Bouwgrond Bouwgrond Bouwgrond Bouwgrond
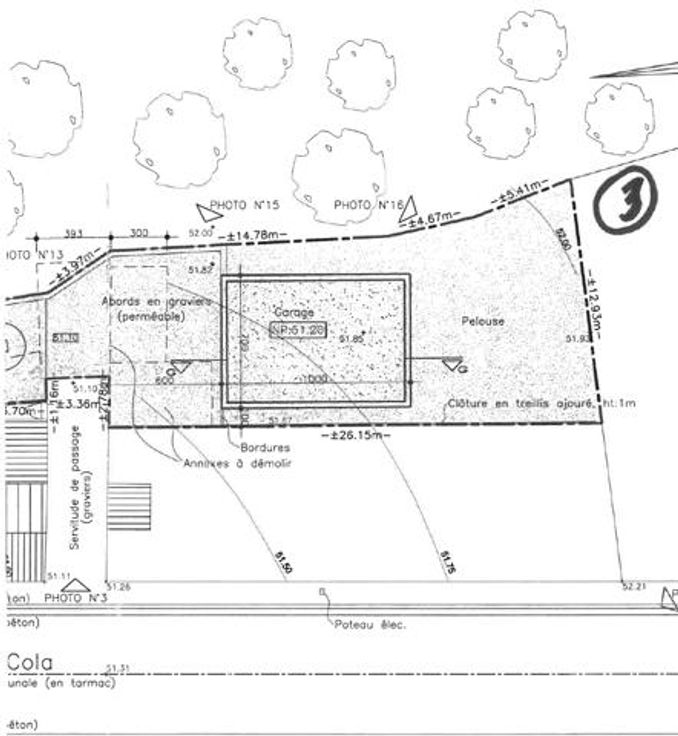
Réf.: 162.Terrain à bâtir en arrière zone! Belle surface de +- 238 m2 (photo 1) et servitude (photo 2) permettant l'accès au terrain reprise dans les photos annexées et mesure +- 55 m2. Projet d'un entrepôt de 80 m2 (il y a quelques années). Belle opportunité à saisir!! Faire offre à partir de 20.000,00€. CONTACTEZ ROBERTO au 0499/924.999. Informations communiquées à titre indicatif et non contractuel. Les propriétaires se réservent le droit d'apprécier la hauteur et la qualité des offres. Nous sommes constamment à la recherche de nouveaux biens pour nos clients en attente, n'hésitez pas à nous contacter au 0499 924 999 pour UNE ESTIMATION GRATUITE SOUS 48H ET FAITE PAR LE PATRON EN PERSONNE. Concernant le choix de l'acquéreur; les critères de sélection du propriétaire ne sont pas uniquement le prix. Le choix reste à l'appréciation de ce dernier qui seul en décidera.
Type vastgoed Grond
Prijs 20.000