Te koop 3 bouwgronden te koop op goed gelegen loca...

Beschrijving van   

Vergelijk realty's

Te koop 3 bouwgronden te koop op goed gelegen locatie!

3 bouwgronden te koop op goed gelegen locatie! 3 bouwgronden te koop op goed gelegen locatie! 3 bouwgronden te koop op goed gelegen locatie! 3 bouwgronden te koop op goed gelegen locatie! 3 bouwgronden te koop op goed gelegen locatie!
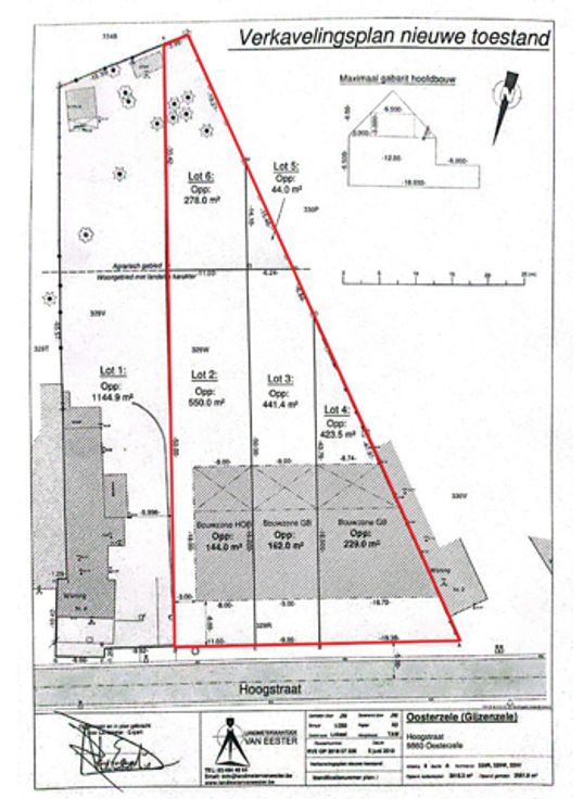
Contacteer Charlotte op 0470 08 88 55 of via charlotte@vicusvastgoed.be In Gijzenzele treffen we deze 3 reeds verkavelde bouwgronden met zicht op bos aan met oppervlaktes van 550 m², 441,4 m² en 423,5m². Lot 5 en 6 zijn in de prijs inbegrepen! De bouwgronden zijn rustig gelegen en toch slechts op enkele minuten rijden van de E40 en vlakbij het station van Gontrode. De kadastrale gegevens per perceel zijn: lot 2: 0329YP0000, niet geïndexeerd KI: 6 lot 3: 0329ZP0000, niet geïndexeerd KI: 4 lot 4: 0329A2P0000, niet geïndexeerd KI: 4 lot 5: 0329B2P0000, niet geïndexeerd KI: 0 lot 6: 0329C2P0000, niet geïndexeerd KI: 3 Contacteer Charlotte op 0470 08 88 55 of via charlotte@vicusvastgoed.be
Type vastgoed Grond
Prijs Op aanvraag