Te koop Bouwgrond

Beschrijving van   

Vergelijk realty's

Te koop Bouwgrond

Bouwgrond Bouwgrond Bouwgrond Bouwgrond Bouwgrond Bouwgrond
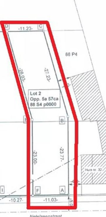
Uitstekend gelegen perceel bouwgrond voor een driegevelwoning in het landelijke Bekkevoort. De bouwgrond is zuidwest georiënteerd met mooi uitzicht op boomgaarden en weilanden. Goede verbinding met E314 en de Staatsbaan , winkels, scholen en openbaar vervoer. Perceel van 5a 57 ca gelegen in woongebied met landelijk karakter voor het bouwen van 1 ééngezinswoning, halfopen bebouwing. Straatbreedte van +/-11,03m, diept perceel 51m. Stedenbouwkundige voorschriften: 1) inplanting zoals voorgesteld op het plan. Zijdelingse stroken minimum 3m 2) bouwlagen: 2 bouwlagen, kroonlijsthoogte maximaal 6,50m, dakhelling 30° en 45° 3) verharding voor toegang uit te voeren in waterdoorlatende materialen Neem zeker contact voor verdere inlichtingen! De woning op de grond is voorgesteld i.s.m AVL woningbouw.
Type vastgoed Grond
Prijs 119.500