Te koop Centraal gelegen bouwgrond met zuidelijke oriëntering
Centraal en rustig gelegen bouwgronden met zuidelijke oriëntering in Malderen.
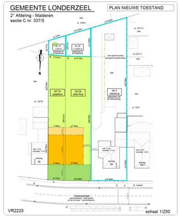
Lot 2A + 2B betreft het lot voor half-open bebouwing en heeft een totale oppervlakte van 6 are 15 ca.
De bouwdiepte bedraagt maximaal 15 meter op het gelijkvloers en maximaal 12 meter op de verdieping.
Omgevingsvergunning voor het verkavelen van gronden werd reeds verleend.
Wenst u een GRATIS SCHATTING van uw eigendom of extra informatie? Contacteer IMMO ARTHUR SEGERS via info@arthur.be of 052/46.00.00.