Te koop Bouwgrond

Beschrijving van   

Vergelijk realty's

Te koop Bouwgrond

Bouwgrond Bouwgrond Bouwgrond Bouwgrond Bouwgrond Bouwgrond
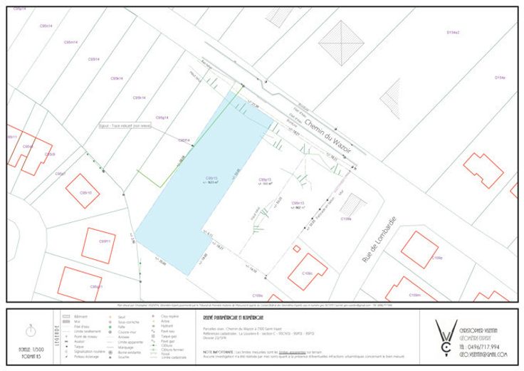
La Louvière - St Vaast. Nichée en plein cœur d'un quartier résidentiel cossu, cette parcelle vous comblera par ses caractéristiques exclusives. Une Orientation optimale et une configuration idéale feront de cette parcelle de près de 16 ares, le terrain idéal pour laisser libre court à votre imagination. La localisation et l'accessibilité sont également des caractéristiques à souligner. Informations : 0477/39.64.99 -- geri@agence-ianniello.be
Type vastgoed Grond
Prijs 165.000