Te koop Nieuwbouw te Torhout

Beschrijving van   

Vergelijk realty's

Te koop Nieuwbouw te Torhout

Nieuwbouw te Torhout Nieuwbouw te Torhout Nieuwbouw te Torhout Nieuwbouw te Torhout Nieuwbouw te Torhout Nieuwbouw te Torhout Nieuwbouw te Torhout
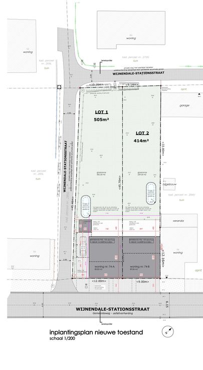
Gino Feys bouwt 2 eigentijdse woningen te Torhout. Waarvan 1 woning beschikbaar, LOT 2. De woning staat water- en winddicht. Grondoppervlakte: 414,00 m² Bewoonbaar: 202,17 m² De indeling is als volgt: een ruime inkomhal, toilet, open en lichtrijke leefruimte met keuken, een berging/wasplaats. Op het verdiep 3 slaapkamers, afzonderlijk toilet, een badkamer met bad en douche. U heeft hier nog keuze in de volledige afwerking zodat u op deze manier een woning creëert volledig volledig uw eigen smaak. Een E-peil van minder dan 20 zorgt dat de woning heel energiezuinig zal zijn. Een doorgedreven isolatie, zonnepanelen, ventilatiesysteem D, vloerverwarming op het gelijkvloers en verdiep,... zorgen voor een lage energiefactuur. Richtprijs van deze woning € 439.337,00 INCLUSIEF btw 21%, grond, volledig afgewerkt, veiligheidscoördinatie en EPB. Wij bouwen water- en winddicht (= € 324.370,00 incl btw en grond) of volledig afgewerkt. Je kiest zelf de formule die jou het beste past. Renovatieplicht: onbekend
Type vastgoed Huis
Prijs 324.370
Bewoonbare opp. 202
Aantal slaapkamers 3
Aantal badkamers 1