Te koop Bouwgrond

Beschrijving van   

Vergelijk realty's

Te koop Bouwgrond

Bouwgrond Bouwgrond Bouwgrond
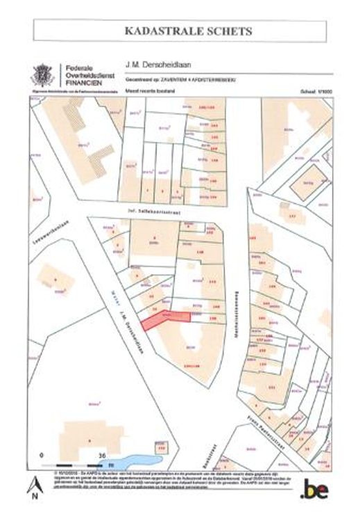
******* vanaf prijs: 165.000 EUR******* Zeer rustig gelegen bouwgrond met een oppervlakte van 1a69 voor het bouwen van een moderne twee-gevelwoning. Deze bouwgrond ligt in een rustige straat (eenrichtingsstraat), op wandelafstand van het centrum van Sterrebeek. Openbaar vervoer, winkels, scholen, speelplein, een park, werkelijk alles bevindt zich op wandelafstand. Kortom een TOP LIGGING! De volgende bouwvoorschriften zijn van toepassing: - achteruitbouwstrook (voortuinstrook): 6m; - achtertuinzone: min. 10m, maar uitzondering mogelijk wegens klein perceel. - max. gabarit: gelijkvloerse verdieping, eerste verdieping & dak verdieping. Geen kelder mogelijk! - bouwdiepte: max. 15m op gelijkvloers & 12m op verdieping. - kroonlijsthoogte: max. 7,5m Heeft u interesse in deze bouwgrond of wenst u bijkomende info? Het kan allemaal! Contacteer ons via het nummer 02/731 07 07 of per email immo@home-consult.be.
Type vastgoed Grond
Prijs 165.000