Te koop UNIEK PERCEEL BOUWGROND OP TOPLOCATIE VOOR...

Beschrijving van   

Vergelijk realty's

Te koop UNIEK PERCEEL BOUWGROND OP TOPLOCATIE VOOR OPEN BEBOUWING:

UNIEK PERCEEL BOUWGROND OP TOPLOCATIE VOOR OPEN BEBOUWING: UNIEK PERCEEL BOUWGROND OP TOPLOCATIE VOOR OPEN BEBOUWING: UNIEK PERCEEL BOUWGROND OP TOPLOCATIE VOOR OPEN BEBOUWING: UNIEK PERCEEL BOUWGROND OP TOPLOCATIE VOOR OPEN BEBOUWING: UNIEK PERCEEL BOUWGROND OP TOPLOCATIE VOOR OPEN BEBOUWING:
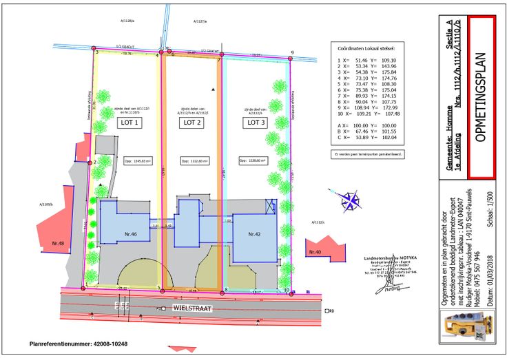
UNIEK PERCEEL BOUWGROND OP TOPLOCATIE VOOR OPEN BEBOUWING (geen bouwverplichting): gelegen te Wielstraat 42+ 9220 Hamme met zuid gerichte tuin met uniek verzicht op weilanden met een totale oppervlakte van 1112 m² (lot 2 op opmetingsplan in bijlage, perceel is 16,6m breed en 67 meter diep). 6% BTW OP DEZE NIEUWBOUW (GEEN 21% BTW!) omdat het gaat over een afbraak en heropbouw. Bij de aankoop betaalt men SLECHTS 2% REGISTRATIERECHTEN OP DE GROND (GEEN 12% REGISTRATIERECHTEN !) wegens aankoop bestaande woning. IN DE VERKOOPPRIJS VAN 375.000 EURO IS 30% VAN DE AFBRAAKKOSTEN INBEGREPEN De verkoper zal dit aan de koper vergoed bij de afbraak door de koper. Rechtstreeks van de eigenaar te koop, GEEN IMMO AUB ! Er is reeds door de verkoper een bouwvergunning aangevraagd en goedgekeurd door de gemeente Hamme voor de splitsing van de percelen, sloopvergunning voor de afbraak en heropbouw van de bestaande woning en de toelating om het perceel te verkopen als bouwgrond voor een open bebouwing. Het bestaande tuinprieel dat momenteel op het perceel staat zal door de verkoper verwijderd worden. VERKAVELINGSVOORSCHRIFTEN: voortuinstrook: 8 meter diep; bouwvrije zijdelingse strook: 3 meter; gevelbreedte: minimum 8 meter breed, maximum 10,6 meter; bouwdiepte gelijkvloers: maximum 20 meter; bouwdiepte 1° verdiep: maximum 15 meter; gevelhoogte: maximum 6 meter en minimum 3,2 meter; dakvorm: vrij
Type vastgoed Grond
Prijs 375.000