Te koop Bouwgrond

Beschrijving van   

Vergelijk realty's

Te koop Bouwgrond

Bouwgrond Bouwgrond Bouwgrond Bouwgrond Bouwgrond Bouwgrond Bouwgrond Bouwgrond Bouwgrond Bouwgrond Bouwgrond
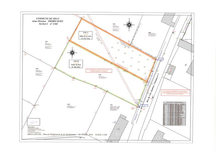
SILLY - THORICOURT - Rue du Noir Jambon, entre le n° 11 et le 13. Deux très belles parcelles de terrain constructibles pour villas 4 façades. Lot A: 16a 61ca - 22.20m de largeur en façade - 135.000€ +frais. Lot B: 17a 60ca - 22.38m de largeur en façade - 135.000€ + frais. Les parcelles sont biens plates et légèrement surélevées par rapport au niveau de la voirie. Elles sont directement raccordables à l'eau, l'électricité et à la tvd. Il n'y a pas de gaz de ville. Les parcelles sont situées en zone d'épuration individuelle au pash mais une dérogation a été obtenue pour la pose de fosse septique individuelle. Lors de la délivrance du permis d'urbanisme pour chaque habitation, la commune de Silly va imposer la pose d'un égouttage dans le fossé à ciel ouvert existant ainsi que l'aménagement d'une zone de stationnement à front de voirie. Centre du village, école et boulangerie à +/- 300m. Centre de Silly, Soignies à +/- 7 km. Accès autoroutier - E 428 - à Enghien vers Bruxelles et à Ghislenghien vers Lille à +/- 11km.
Type vastgoed Grond
Prijs 135.000