Bent u op zoek naar een rustig gelegen bouwgrond voor een halfopen bebouwing in Oostende? Dan is dit perceel van 421 m² in de charmante woonwijk van Stene ideaal voor u!
Kenmerken:
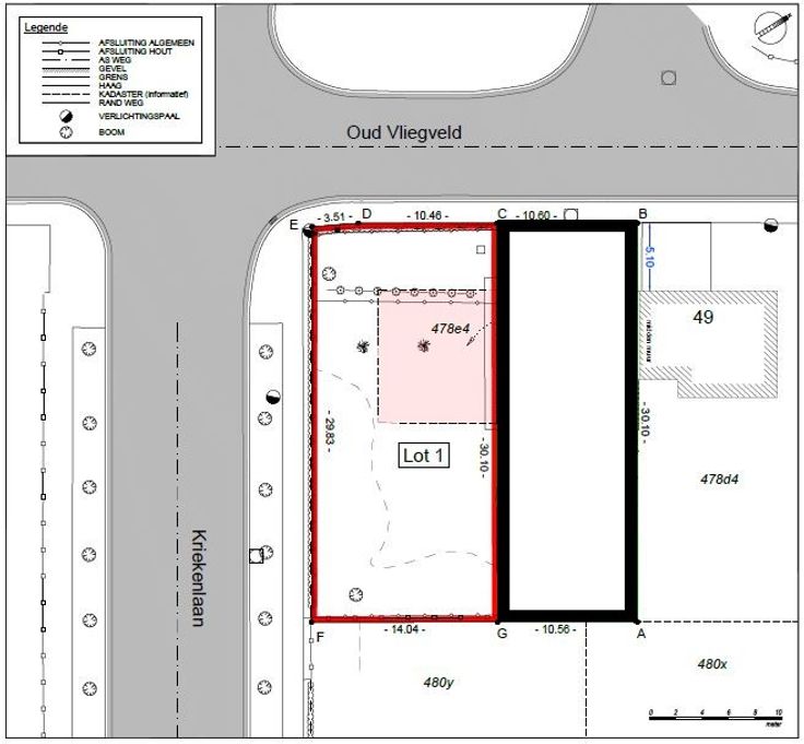
Totale oppervlakte: 421 m²
Bestemd voor halfopen bebouwing
Rustige en aangename woonwijk in Stene
Op slechts enkele minuten van het centrum van Oostende
Dichtbij de Zeedijk, ideaal voor wie houdt van een strandwandeling
Nabij handelzaken, winkels en openbaar vervoer
Deze bouwgrond biedt de perfecte combinatie van rust en nabijheid tot het bruisende stadsleven en de kust.
Interesse? Contacteer Sean op 050 42 42 24.