Te koop Charmante woning

Beschrijving van   

Vergelijk realty's

Te koop Charmante woning

Charmante woning Charmante woning Charmante woning
Kortelings te koop
Type vastgoed Huis
Prijs 315.000
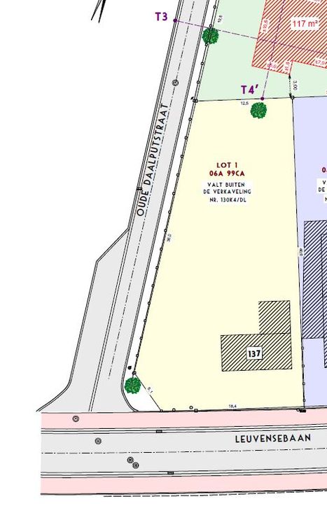
Bewoonbare opp. 699
Aantal slaapkamers 2
Aantal badkamers 1