Te koop Bouwgrond

Beschrijving van   

Vergelijk realty's

Te koop Bouwgrond

Bouwgrond Bouwgrond Bouwgrond
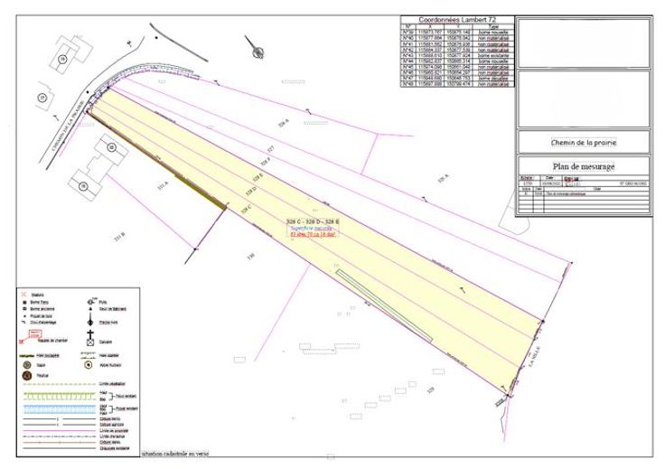
Terrain de 63a 70ca dans un secteur prisé. Profondeur terrain : +/- 250 m   Largeur du terrain : 16m jusqu'à 22m en zone d'habitat et jusqu'à 40m en zone agricole. Terrain affecté en partie en zone d'habitat ( +/- 140m de profondeur) et en partie en zone agricole.  LIBRE D'OCCUPATION TOP SECTEUR !  Publicité à caractère non contractuel et ne constituant pas une offre. Les propriétaires se réservent le droit de décision, d'acceptation ou non sur toute(s) offre(s) soumise(s) pour leur bien.
Type vastgoed Grond
Prijs 150.000