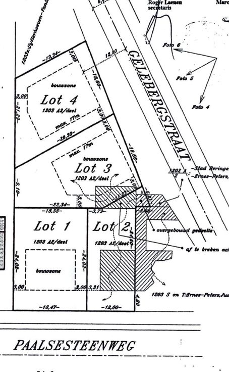
Te koop Mooi gelegen bouwgrond voor open bebouwing (lot 4) te Paal
Deze bouwgrond voor open bebouwing (lot 4) ligt in een aangename buurt te Paal-Beringen. Perceeloppervlakte 4a 53a.
De bouwvoorschriften voor de nieuw te bouwen woning zijn:
Bestemming: residentiële woning. Nevenbestemming voor vrij beroep en diensten is toegelaten tot 50% van de gelijkvloerse bebouwde oppervlakte.
Inplanting: op minimum 3 meter van de zijdelingse perceelsgrenzen.
Bouwspecificaties: max. 2 bouwlagen onder de kroonlijst. Gevelhoogte (tussen voetpad en kroonlijst) tussen 5m50 en 6m. Dakhelling tussen 25° en 40°. Bouwdiepte van 15m op het gelijkvloers en 10m op deverdieping. Vrijstaande achterbouwtjes zijn niet toegelaten.
Er kan van deze verkavelingsvoorschriften afgeweken worden. Er dient dan een openbaar onderzoek uitgevoerd te worden en de afwijking dient ook getoetst te worden aan de goede ruimtelijke ordening.
Zongericht perceel.
De naastliggende bouwgrond, lot 3, is ook te koop. Het is haalbaar om loten 3 en 4 samen te voegen en 1 woning op te bouwen. De goedkeuring hiervan zal afhangen van de voorgestelde bouwplannen en dient afgetoetst te worden bij de dienst omgeving van de stad Beringen.
De bouwgrond kent een centrale ligging in de onmiddellijke nabijheid van de handelszaken, sport- en ontspanningsmogelijkheden. Vlotte verbinding naar Beringen, Diest en Lummen en de de autos