Te koop Drie betaalbare bouwgronden te Assenede !

Beschrijving van   

Vergelijk realty's

Te koop Drie betaalbare bouwgronden te Assenede !

Drie betaalbare bouwgronden te Assenede !
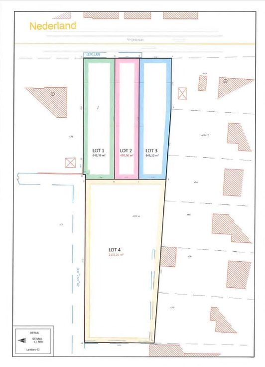
Bouwgronden te koop vanaf 107.000 euro te Assenede ! Deze zeer rustig gelegen percelen hebben een open landelijke ligging aan de Nederlandse grens met vlotte verbinding naar het centrum van Assenede ! LOT 1: 645,39 m² - vraagprijs: 142.000 euro LOT 2: 495,06 m² - Vraagprijs: 107.000 euro LOT 3: 641,15 m² - vraagprijs: 142.0000 euro OPTIE TOT HET BIJKOPEN VAN LOT 4 bij bovenstaande loten (landbouwgrond): 2.103,24 m² - vraagprijs: 22.000 euro Meer info op kantoor of bel naar WIJSvastgoed op +32 9 395 80 10 !
Type vastgoed Grond
Prijs 107.000