Te koop Bouwgrond

Beschrijving van   

Vergelijk realty's

Te koop Bouwgrond

Bouwgrond Bouwgrond
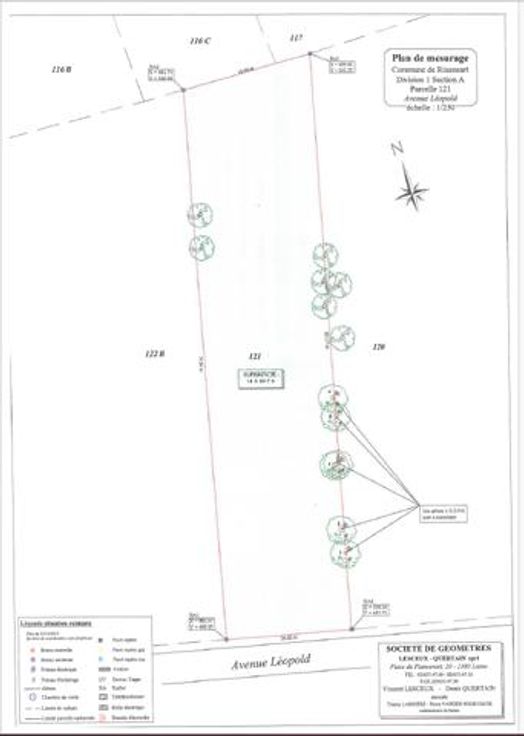
TRIOR vous propose ce superbe terrain à bâtir de 14a 84ca situé dans un quartier résidentiel calme et recherché à seulement 1km du centre de Rixensart. Il s'agit d'un terrain plat dans un environnement boisé et est destiné à la construction d'une maison unifamiliale de type "villa". Ce terrain entièrement clôturé est situé en zone d'habitat au plan de secteur de Wavre-Jodoigne-Perwez et en sous-aire 1/42 de parc résidentiel au règlement communal d'urbanisme. Largeur terrain: 18,02m; profondeur terrain: 81,27m ; équipements: eau, gaz, électricité et égouts. Libre de constructeur. Prescriptions urbanistiques sur demande. A vos projets! Plus d'infos sur www.TRIOR.be
Type vastgoed Grond
Prijs 375.000