Te koop Europese wijk een perceel van 1219m² voor ...

Beschrijving van   

Vergelijk realty's

Te koop Europese wijk een perceel van 1219m² voor open bebouwing

Europese wijk een perceel van 1219m² voor open bebouwing Europese wijk een perceel van 1219m² voor open bebouwing Europese wijk een perceel van 1219m² voor open bebouwing Europese wijk een perceel van 1219m² voor open bebouwing
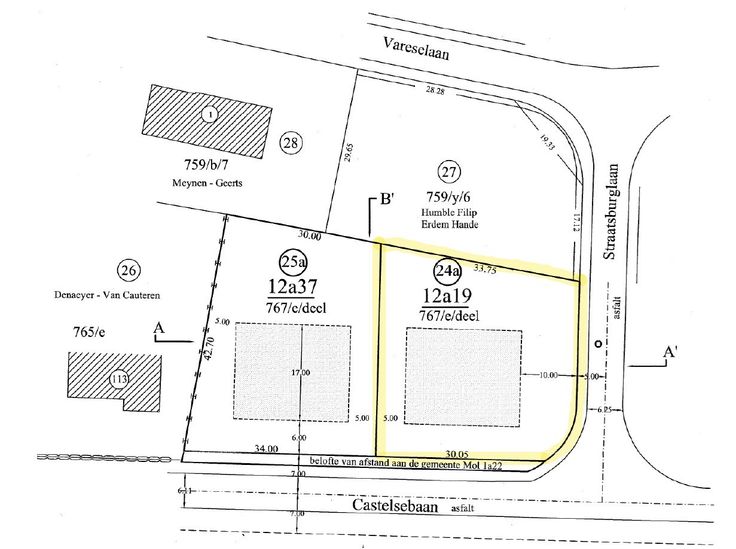
Het perceel met een oppervlakte van 1219 vierkante meter is gelegen in Mol en biedt de mogelijkheid voor het bouwen van een open bebouwing. Met een ruime oppervlakte van grond, is er voldoende ruimte voor het creëren van een prachtige tuin of het bouwen van een ruime woning. De ligging in Mol biedt een rustige omgeving met veel natuur, ideaal voor wie houdt van rust en ruimte. Het perceel is geschikt voor wie op zoek is naar een stuk grond om zijn droomhuis te realiseren, met de vrijheid om het huis naar eigen wens te ontwerpen en te bouwen. Bijzonderheden : -residentiële wijk -Er is geen bouwverplichting -Vito en Europese school in de buurt. -Oppervlakte grond: 1.219m² -Bestemming: eengezinswoning -Breedte aan de straat: 30 m -Breedte van de te realiseren voorgevel: maximaal 15 m -Bouwdiepte: maximaal 17 m -Verkavelingsvoorschriften op de site van Immo Delien Voor een bezoek kan u ons contacteren via 0483/73.79.00 telefonisch of whats app. Per mail kan dit via info@immodelien.be Wenst u ook uw eigendom te verkopen? Contacteer ons vrijblijvend voor een GRATIS schatting op 0483/73.79.00 Rob Deliën.
Type vastgoed Grond
Prijs 295.000