Te koop Bouwgrond

Beschrijving van   

Vergelijk realty's

Te koop Bouwgrond

Bouwgrond Bouwgrond Bouwgrond Bouwgrond Bouwgrond Bouwgrond Bouwgrond Bouwgrond Bouwgrond Bouwgrond Bouwgrond Bouwgrond Bouwgrond
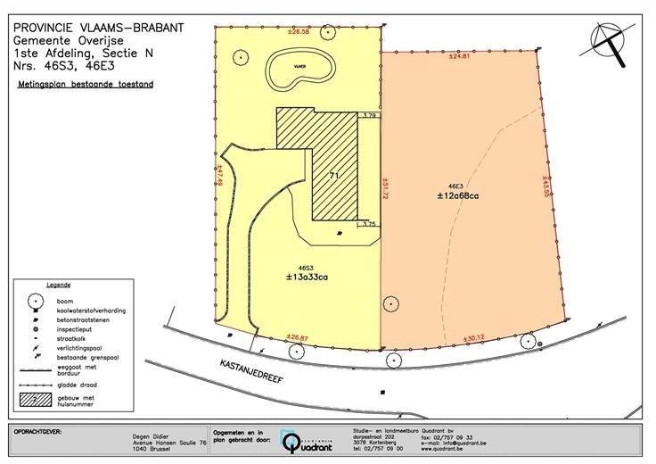
Contigo.immo biedt u een bouwgrond aan in de prestigieuze Marnixwijk van Overijse. Perceel grond met een oppervlakte van 12a 65ca, goed gelegen in een zeer rustige omgeving aan de Kastanjedreef 73. Licht glooiend, gedeeltelijk bebost, met een helder en zonnig uitzicht. Mogelijkheid om een klassieke of eigentijdse half-level villa te bouwen met een tuin op het zuidwesten Het is als volgt samengesteld, straatgevel met een breedte van +/- 30m en een diepte van +/-40m .
Type vastgoed Grond
Prijs 420.000