Te koop Bouwgrond voor OB met prachtig uitzicht

Beschrijving van   

Vergelijk realty's

Te koop Bouwgrond voor OB met prachtig uitzicht

Bouwgrond voor OB met prachtig uitzicht Bouwgrond voor OB met prachtig uitzicht
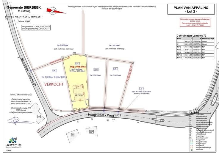
Prachtige bouwgrond voor open bebouwing te Bierbeek Deze bouwgrond op een perceel van 9a 67ca maakt deel uit van een verkaveling in 4 grote bouwloten en beschikt over ruime bouwvoorschriften. Zo heeft u de mogelijkheid om op de gelijkvloerse verdieping 15m diep te bouwen met een gevelbreedte van maar liefst 10m. Op de tweede verdieping mag u een bouwdiepte van max. 12m hanteren. Enkel een plat dak is toegelaten maar opbergruimte is geen probleem aangezien een kelder mogelijk is. Een extra troef? Dé perfecte oriëntatie en een prachtig uitzicht overheen de velden van Bierbeek! De ligging is ideaal, zo bent u slechts enkele minuten verwijderd van de E40 en Leuven. Meer info? Neem contact op via 0470 55 6424 of info@immolivit.be
Type vastgoed Grond
Prijs 320.000