Te koop Bouwgrond

Beschrijving van   

Vergelijk realty's

Te koop Bouwgrond

Bouwgrond Bouwgrond Bouwgrond Bouwgrond Bouwgrond
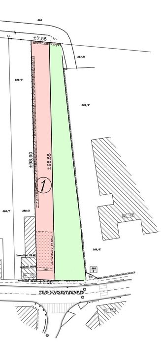
Zeer mooi perceel bouwgrond met een oppervlakte van 740m². Deze grond biedt de mogelijkheid tot het bouwen van een gesloten bebouwing met een gevelbreedte van 7,52m en diepte van 15m. De tuin is Oost georiënteerd. Het terrein ligt in woongebied en is niet gelegen in overstromingsgevoelig gebied. Zeer vlotte bereikbaarheid woon-werkverkeer Brussel - Leuven - Mechelen - Antwerpen. Bushalte en school is op wandelafstand. Bloso domein Hofstade en Planckendael in de nabije omgeving. Aan de achterzijde heb je een mooi uitzicht op de velden, het bos en het kasteel van Perk . Bij het verlaten van de tuin is er een wandel/fietswegje die aansluiting geeft op de mooie natuur en waar er mogelijkheid is om ontspannende wandelingen te maken in een rustgevende natuur. Het verkeersvrije wegje geeft ook uit op een mooie speeltuin. Een mooie troef om kinderen van de natuur te laten genieten.
Type vastgoed Grond
Prijs 290.000