Te koop immo DAVID stelt voor: gesloten garagebox

Beschrijving van   

Vergelijk realty's

Te koop immo DAVID stelt voor: gesloten garagebox

immo DAVID stelt voor: gesloten garagebox immo DAVID stelt voor: gesloten garagebox immo DAVID stelt voor: gesloten garagebox
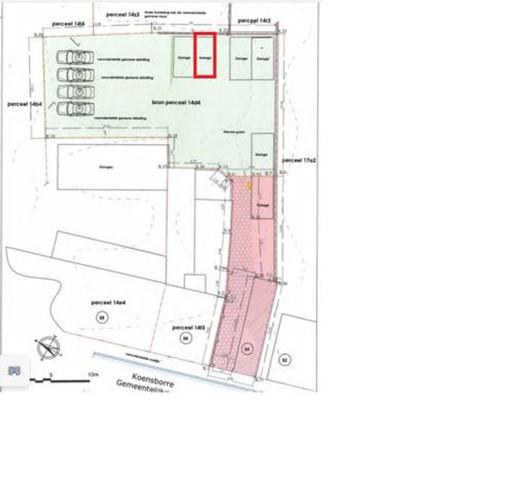
Hebt u er ook genoeg van om een parkeerplaats te zoeken of een bewonerskaart te betalen? Investeer in uw eigen gesloten garagebox: een duurzame belegging voor uw eigen comfort of als (eerste) vastgoedinvestering. Bereikbaar via een doorgang (Koensborre n° 54) met gemeenschappelijke ingang via elektrische poort, waardoor Uw voertuig altijd veilig staat. Mogelijkheid om deze ook aan te kopen in het geheel bestaande uit de drie garageboxen en de vier autostaanplaatsen voor een bedrag van € 97.000. Zeer centraal gelegen in het centrum van Asse. Aarzel niet om ons te contacteren.
Type vastgoed Garage
Prijs 19.000