Te koop Huis

Beschrijving van   

Vergelijk realty's

Te koop Huis

Huis Huis
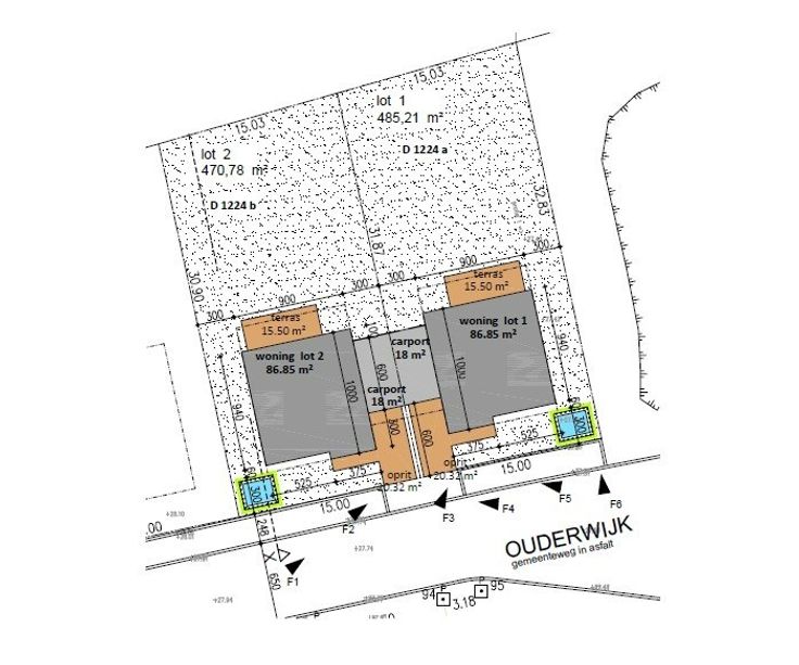
Landelijk gelegen in Lichtervelde, op 1,5 km van het dorpscentrum, kinderopvang, scholen, horeca , bioscoop en sociale activiteiten. Vlotte verbinding met E403, rechtstreekse treinverbinding Lichtervelde-Brussel. INDELING VAN DE WONING GELIJKVLOERS * Inkomhal * Berging * Gastentoilet * Leefruimte met open keuken * Carport VERDIEP 1 * 4 slaapkamers * Nachthal * Badkamer * Apart toilet
Type vastgoed Huis
Prijs 395.000
Aantal slaapkamers 4