Te koop Bouwgrond

Beschrijving van   

Vergelijk realty's

Te koop Bouwgrond

Bouwgrond Bouwgrond Bouwgrond Bouwgrond Bouwgrond Bouwgrond Bouwgrond
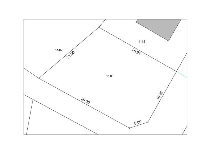
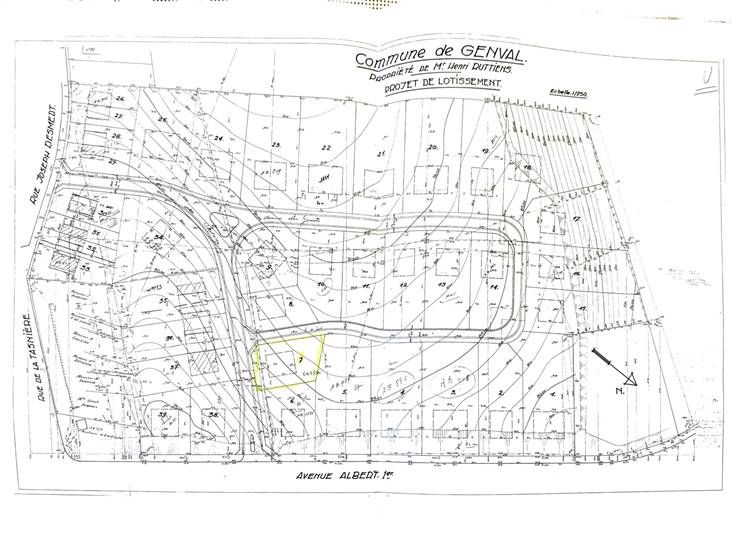
Sorry er is geen nederlandse vertaling beschikbaar. GENVAL – Terrain idéalement situé ! Niché dans un quartier prisé de Rixensart (Genval), cette parcelle de ± 5a 75ca offre un cadre privilégié à seulement 10 minutes à pied du lac de Genval (800 m), de la gare de Genval (900 m), du centre commercial « Les Papeteries » (1 km) et de « La Mazerine ». Situé à l’angle de l’avenue du Sartage et de l’avenue des Genêts, ce terrain est relativement plat et dégagé. Un emplacement idéal pour concrétiser un projet de construction neuve dans un environnement résidentiel recherché, proche de toutes commodités et à seulement 10 minutes en voiture du RING et de l’E411. De nombreuses écoles et infrastructures sportives se trouvent à proximité. Visites sur rendez-vous. Libre à l’acte.
Type vastgoed Grond
Prijs 245.000