Te koop Bouwgrond

Beschrijving van   

Vergelijk realty's

Te koop Bouwgrond

Bouwgrond Bouwgrond Bouwgrond
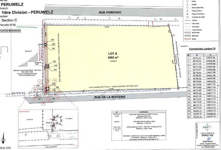
Ce bien est vendu par internet à partir du 25/02/2025 jusqu'au 05/03/2025. Spacieux terrain à bâtir situé près des grands axes. Occupé par un agriculteur suivant bail verbal (terrain situé pour grande partie en zone d'habitat à caractère rural et pour partie en zone d'espaces verts). tout projet de construction doit d'abord faire l'objet d'une vérification au service de l'urbanisme de la Ville de Péruwelz.
Type vastgoed Grond
Prijs 90.000